Quantcast
© 2023University of Hawaiʻi

Oʻahu Marine Protected Areas Offer Limited Protection Of Coral Reef Herbivorous Fishes

Marine protected areas (MPAs) around Oʻahu do not adequately protect populations of herbivorous reef fishes that eat algae on coral reefs.


Marcie Grabowski
Jul 27, 2023

A large parrotfish scrapes algae from a Hawaiian reef. (Photo credit: Noam Altman-Kurosaki) That is the primary conclusion of a study published in Coral Reefs by researchers from the University of Hawaiʻi at Mānoa School of Ocean and Earth Science and Technology (SOEST).

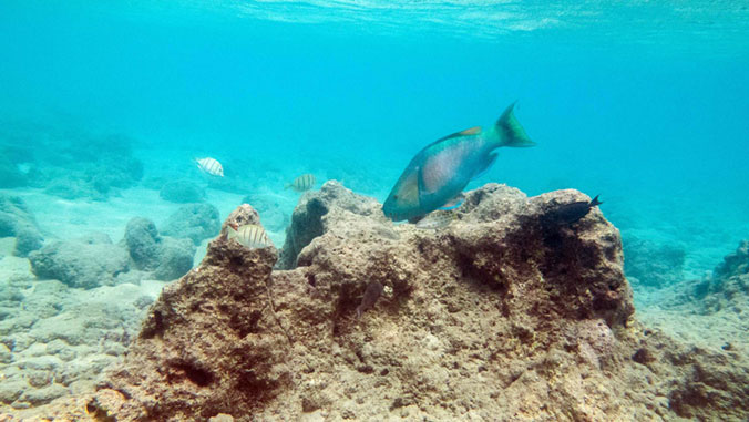
There are more than 20 species of herbivorous fishes and 10 species of herbivorous urchins commonly observed on Hawaiʻi’s reefs. These species eat algae that grows on reefs, a process called herbivory, which contributes to the resilience of coral reefs by preventing algae dominance that can lead to overgrowth of corals.

The team of researchers found that of the four marine protected areas around Oʻahu they assessed in the study, three did not provide biologically significant benefits for herbivorous fish populations compared to reefs outside the areas.

“Marine protected areas are a fishery management tool to limit or prevent fishing to help the recovery and maintenance of fish abundance and biomass inside the MPA,” said senior author Erik Franklin, an associate research professor at the Hawaiʻi Institute of Marine Biology in SOEST. “An effective MPA should lead to a considerably higher abundance and biomass of fishes inside the MPA boundaries that would otherwise be caught by fishers but that wasn’t what our study found.”

Other factors influencing the biomass of herbivorous fishes included habitat complexity and depth, suggesting that environmental characteristics of coral reefs may have had a greater impact on herbivorous fish populations than MPA protection.

A large school of surgeonfishes swims over a shallow Hawaiian reef. (Photo credit: Noam Altman-Kurosaki) 

Importance for Hawaiʻi

As part of the Sustainable Hawaiʻi Initiative, the State of Hawaiʻi’s Division of Aquatic Resources leads the Marine 30×30 Initiative, which committed to effectively manage Hawaiʻi’s nearshore waters with 30% established as marine management areas by 2030. Currently, 5% of waters within state jurisdiction, which is within three nautical miles of shore, have some form of marine management, but no-take MPAs that ban fishing make up less than 0.5% of the nearshore waters. To attain the goal of the 30×30 Initiative would require an expansion of marine managed areas to include an additional 25% of Hawaiʻi state waters.

“Our results suggest that prior to an expansion of MPAs in Hawaiian waters, more effort should be directed to effectively manage the existing MPAs to see if they meet the desired management objectives,” said lead author and UH Mānoa Marine Biology Graduate Program graduate student Noam Altman-Kurosaki. “The addition of more MPAs throughout the state that have similar performance to the Oʻahu MPAs would just lead to a series of paper parks that don’t provide biologically significant conservation benefits while decreasing fishing opportunities.”

This work is an example of UH Mānoa’s goal of Excellence in Research: Advancing the Research and Creative Work Enterprise (PDF), one of four goals identified in the 2015-2025 Strategic Plan (PDF), updated in December 2020.

For more information, see SOEST’s website.

–By Marcie Grabowski

Publication: Altman-Kurosaki, N.T., Smith, C.M. & Franklin, E.C. O‘ahu’s marine protected areas have limited success in protecting coral reef herbivores. Coral Reefs, (2023). DOI: 10.1007/s00338-021-02054-5

Original Story Source: University of Hawaii at Manoa


RECOMMENDED